
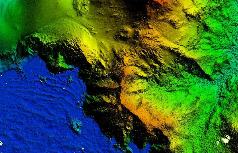
Central Highlands LiDAR capture program, Victoria
RPS was commissioned to carry out spatial capture over the Central Highlands region of Victoria, flying 3,200 km² of mountainous terrain.
LiDAR for better environmental management
The survey was undertaken to create a detailed ground model for use in hydrological studies, and to identify possible habitat for the critically endangered Leadbeater’s Possum.
The complex terrain required a very detailed flight plan to maintain the high level of accuracy and point density needed for a project of this nature.
Despite challenging terrain and unfavourable weather patterns, RPS was able to carry out the LiDAR survey, process all derived products and utilise the newly developed QA4LiAR tool as an additional quality assurance method.
